Solve problems in and around your home.
Start Problem Solver

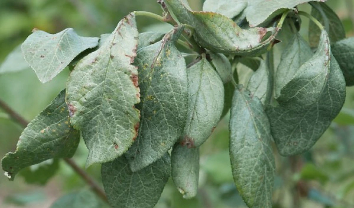
Silver leaf is a fungal pathogen that infects a wide range of woody trees and shrubs. Leaves turn silver and infected branches die back.
Silver leaf disease causes leaves of woody trees and shrubs to turn silvery. Roses, apples, peaches, plums, apricots, poplars, willows, and escallonia are commonly infected.
Infected branches die back and when the branch dies small fruiting bodies appear as brackets on the dead wood.